Kollect

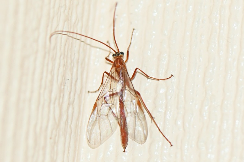
Observation n° 1393307 (Ophioninae)

Informations

Donnée en attente de validation

Identifiant SINP : 2c7ab001-3e63-4d3e-ae51-161749fa5136

Date : 05/03/2026

Date de saisie : 05/03/2026

Localisation

- Saint-Léger-sous-Cholet (49) (49)

Observateur(s) (Indépendant)

Hubert FISENNE

Etude : 0 - Aucune

Type d'acquisition : Donnée fortuite

Détail de l'observation

→ Imago ( 3 non différencié(s) )
Etat biologique : Observé vivant
Contact : Non renseigné
Prospection : Piège lumineux
Statut biologique : Non renseigné
Comportement : Non renseigné

Déterminateur : Hubert FISENNE

Photo(s)


Relevé n° 217228

Twitter Facebook Google Plus Linkedin email